Homepage

The next new Fort Mill subdivision could be built beside a town park. Here’s where

Town of Fort Mill

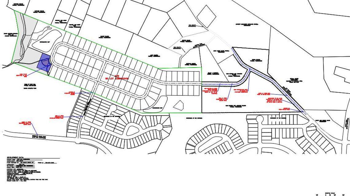
Fort Mill could grow by 40 acres with a plan that would create a new home subdivision.

Owners of the property at the intersection of JW Wilson Road and Canyon Trail applied to annex it. The vacant, wooded site just east of the Catawba River is beside Waterside at the Catawba and the recently opened Banks Athletic Park.

The applicant intends to build 80 new homes there.

A submitted sketch plan shows an entrance off JW Wilson, off of Whites Road, to the east. An entrance from the south comes off Trentwood Drive, from Sparkling Brook Parkway and the Waterside subdivision. The westernmost part of the property shows, on the plan, a small park area to be dedicated to the town. That piece bumps up against Banks Athletic.

The decision first comes to the town planning commission Oct. 18. That group will make a recommendation for or against annexation, which would come with a rezoning in the town. If the project moves forward the planning commission would review full development plans for the property prior to construction.

Annexation is a Fort Mill Town Council decision. That group will consider the planning commission recommendation and hold its own public hearing. Council would have to vote twice in favor of annexation to make it happen. The first vote and public hearing tentatively are scheduled for Nov. 14. A final vote is tentatively set for Nov. 28.

This story was originally published October 17, 2022 at 9:00 AM with the headline "The next new Fort Mill subdivision could be built beside a town park. Here’s where."

John Marks
The Herald
John Marks graduated from Furman University in 2004 and joined the Herald in 2005. He covers community growth, municipalities, transportation and education mainly in York County and Lancaster County. The Fort Mill native earned dozens of South Carolina Press Association awards and multiple McClatchy President’s Awards for news coverage in Fort Mill and Lake Wylie. Support my work with a digital subscription
Get unlimited digital access
#ReadLocal

Try 1 month for $1

CLAIM OFFER